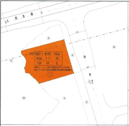
近日,长沙市自然资源和规划局发布隆平片区控规F07-G85-1地块规划修改批前公示。

根据公示,该地块用地性质由商业用地(B1)修改为商住混合用地(B1R2),商住比4.7:5.3;建筑限高由≤100米修改为≤150米。

据悉,该地块为中信城开东宸上品原规划的2栋公寓,目前该项目还有新房在售,建面180㎡毛坯,价格11500-11800元/㎡。

地块临近地铁6号线东湖站正地铁口,北侧是主干道人民东路,交通便利。距离地块最近的大型商业是龙湖芙蓉天街,周边学校有湖南农大、湘郡培粹一校两址、大同实验小学等,配套成熟。